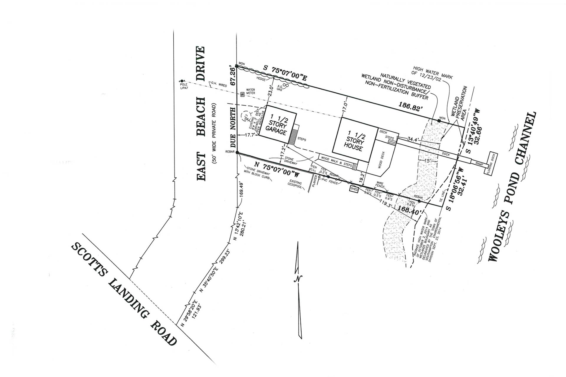
38 East Beach Drive, Southampton, NY 11968

41 Photos
 
$3,395,000
Active for Sale
4 Beds
2 Baths
1645 SF
Built In 1957
 
Listing ID 930038
Property Type House
Township Southampton
Hamlet North Sea
Area North Sea Harbor
School SOUTHAMPTON UNION FREE SCHOOL DISTRICT
Total Tax $5,975
Tax ID 0900-042.000-01-026.002
FEMA Flood Map fema.gov/portal
Year Built 1957
Associated Documents
Virtual Tour

SOUTHAMPTON SHORES RARE OFFERING WITH DOCK

Rarely does a waterfront property come on the market in this desirable Southampton Shores neighborhood, so opportunity knocks for the savvy buyer who wants to reside in a Hamptons Home with extraordinary views over Wooley Pond. With your own private dock, you have direct access to Peconic Bay to spend your days boating, kayaking, paddle-boarding, fishing, sailing, and all the other nautical pleasures that you may enjoy. The 0.27 acre property features a cozy, well-maintained beach cottage, plus a recently reconstructed detached 2-car garage with a large recreation room on its second floor. There is also a brand new Fuji I/A septic system with 4-bedroom capacity on this site. A long legacy of multi-generational ownership has taken great care of this waterfront gem, which now awaits your special touches and finishes. Enjoy al fresco dining and sunset cocktails on the deck overlooking this picturesque pond. Conveniently located in North Sea off of Noyac Road, just five miles from Southampton village shops, restaurants, and world-famous ocean beaches, 38 East Beach Drive is a welcoming coastal retreat. Southampton Shores residents enjoy exclusive community amenities, including a large bayfront pavilion picnic area, tennis, basketball, baseball, and resident-only marina dockage. Exclusively represented and showing by appointment.
Property Details
  • 4 Total Bedrooms
  • 2 Full Baths
  • 1645 SF (AG)
  • 0.27 Acres
  • 11587 SF Lot
  • Built in 1957
  • Renovated 2010
  • 2 Stories
  • Available 3/30/2026
  • Beach Cottage Style
  • Crawl Basement
  • Renovation: Renovated 2010, Rebuilt Detached 2-Car Garage with Rec Rm Above 2019, New Fuji I/A Septic System 4-Bedroom Capacity 2023
Interior Features
  • Granite Kitchen Counter
  • Oven/Range
  • Refrigerator
  • Dishwasher
  • Washer
  • Dryer
  • Hardwood Flooring
  • 9 Rooms
  • Living Room
  • Dining Room
  • Bonus Room
  • Kitchen
  • First Floor Primary Bedroom
  • First Floor Bathroom
  • 1 Fireplace
  • Baseboard
  • 1 Heat/AC Zones
  • Propane Fuel
  • Wall/Window A/C
Exterior Features
  • Frame Construction
  • Cedar Shake Siding
  • Asphalt Shingles Roof
  • Detached Garage
  • 2 Garage Spaces
  • Municipal Water
  • Private Septic
  • Deck
  • Driveway
  • Survey
  • Utilities
  • Pond View
  • Bay View
  • Pond Waterfront
  • Bay Waterfront
  • Access Waterfront
  • Beach Rights Waterfront
  • Dock Rights Waterfront
  • Water Frontage: 65 feet
Community Details
  • Community: Southampton Shores
  • Tennis Court
Taxes and Fees
  • $5,975 Total Tax
  • Tax Year 2026
  • $40 per month Maintenance
  • HOA: Southampton Shores / Colony Club
Listed By
Saunders & Associates
Office: 631-283-5050
Request More Information
Request Showing
Role Agent Buyer
Your Preferred Date & Time
Showing Type:
Listing data is deemed reliable but is NOT guaranteed accurate.
Contact Us
Who Would You Like to Contact Today?

I want to contact an agent about this property!

I wish to provide feedback about the website functionality

Contact Agent
Your Name:
Email:
Phone:
Message:
Security: What is 9 plus 3?